Andricus dimorphus: taxon details and analytics
- Domain
- Kingdom
- Animalia
- Phylum
- Arthropoda
- Class
- Insecta
- Order
- Hymenoptera
- Family
- Cynipidae
- Genus
- Andricus
- Species
- Andricus dimorphus
- Scientific Name
- Andricus dimorphus
Summary description from Wikipedia:
Andricus dimorphus
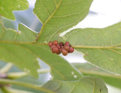
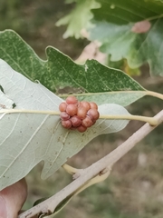
Andricus dimorphus, also called the clustered midrib gall wasp, is a species of oak gall wasp in the family Cynipidae. Galls in which the larvae live and feed are formed in clusters along the midrib on the underside of oak leaves.
...Andricus dimorphus in languages:
- English
- Clustered Midrib Gall Wasp
Images from inaturalist.org observations:
We recommend you sign up for this excellent, free service.
Parent Taxon
Sibling Taxa
- Andricus albicomus
- Andricus albobalani
- Andricus amblycerus
- Andricus amenti
- Andricus amphorus
- Andricus anthracina
- Andricus apiarium
- Andricus archboldi
- Andricus aries
- Andricus atrimentus
- Andricus aztecus
- Andricus bakkeri
- Andricus balanaspis
- Andricus balanella
- Andricus biconicus
- Andricus bonanseai
- Andricus bracteatus
- Andricus brunneus
- Andricus burnetti
- Andricus caepula
- Andricus caliciformis
- Andricus californicum
- Andricus callidoma
- Andricus capillatus
- Andricus caputmedusae
- Andricus catalinensis
- Andricus cecconii
- Andricus chapmanii
- Andricus chico
- Andricus chinquapin
- Andricus chiricahuensis
- Andricus chrysobalani
- Andricus chrysolepidicola
- Andricus cinnamomeus
- Andricus clarkei
- Andricus coconinoensis
- Andricus columbiensis
- Andricus comata
- Andricus confertus
- Andricus conglomeratus
- Andricus conificus
- Andricus cooki
- Andricus coortus
- Andricus coquilletti
- Andricus coriarius
- Andricus coronatus
- Andricus coronus
- Andricus corruptrix
- Andricus costatus
- Andricus crystallinus
- Andricus curtisii
- Andricus curvator
- Andricus cylindrata
- Andricus deciduatus
- Andricus dentimitratus
- Andricus dimorphus
- Andricus discalis
- Andricus discularis
- Andricus dugesi
- Andricus durangensis
- Andricus fimbrialis
- Andricus fitzpatricki
- Andricus foecundatrix
- Andricus foliaformis
- Andricus formosalis
- Andricus frondeum
- Andricus furnaceus
- Andricus galeatus
- Andricus gallaetinctoriae
- Andricus gallaeurnaeformis
- Andricus gemmeus
- Andricus geniale
- Andricus gigas
- Andricus glandulae
- Andricus glutinosus
- Andricus grossulariae
- Andricus guanajuatensis
- Andricus hakonensis
- Andricus hartigi
- Andricus highlandensis
- Andricus hispanicus
- Andricus howertoni
- Andricus hungaricus
- Andricus hystrix
- Andricus incertus
- Andricus indistinctus
- Andricus infectorius
- Andricus inflator
- Andricus insanus
- Andricus integrum
- Andricus kashiwaphilus
- Andricus kingi
- Andricus kollari
- Andricus korlevici
- Andricus lapiei
- Andricus legitimus
- Andricus lignicola
- Andricus longipennis
- Andricus lucidus
- Andricus lustrans
- Andricus lusum
- Andricus maculosus
- Andricus malpighi
- Andricus malpighii
- Andricus mamillaformis
- Andricus mammadovi
- Andricus marmoreus
- Andricus maxwelli
- Andricus mayri
- Andricus mellificus
- Andricus menkei
- Andricus mexicanus
- Andricus mitratus
- Andricus mogollonensis
- Andricus montezumus
- Andricus moreae
- Andricus mukaigawae
- Andricus multiplicatus
- Andricus murtfeldtae
- Andricus nichollsi
- Andricus nigricens
- Andricus nodifex
- Andricus noliquercicola
- Andricus notholithocarpi
- Andricus occultatus
- Andricus ocri
- Andricus opertus
- Andricus paradoxus
- Andricus parmula
- Andricus pattersonae
- Andricus pedicellatus
- Andricus peredurus
- Andricus perfectus
- Andricus perfulvum
- Andricus pictus
- Andricus pilula
- Andricus pilularis
- Andricus pisiformis
- Andricus polycerus
- Andricus prescotti
- Andricus projectus
- Andricus pseudocurvator
- Andricus pseudoinflator
- Andricus quadrilineatus
- Andricus quercusbatatoides
- Andricus quercuscalicis
- Andricus quercuscalifornicus
- Andricus quercuscorticis
- Andricus quercusfoliatus
- Andricus quercusformosus
- Andricus quercusfrondosus
- Andricus quercuslaurinus
- Andricus quercuspetiolicola
- Andricus quercusradicis
- Andricus quercusramuli
- Andricus quercusstrobilanus
- Andricus quercustozae
- Andricus quercusutriculus
- Andricus receptus
- Andricus repandae
- Andricus reticulata
- Andricus reticulatus
- Andricus rhizoxenus
- Andricus rhyzomae
- Andricus robustus
- Andricus rochai
- Andricus rotundula
- Andricus rugatus
- Andricus ruginosus
- Andricus ruidus
- Andricus schickae
- Andricus scutella
- Andricus seckendorffi
- Andricus seminationis
- Andricus setifer
- Andricus sieboldi
- Andricus solitarius
- Andricus spicatus
- Andricus splendens
- Andricus stefanii
- Andricus stellaris
- Andricus stellulus
- Andricus sternlichti
- Andricus stramineus
- Andricus stropus
- Andricus strues
- Andricus sulfureus
- Andricus superfetationis
- Andricus tecturnarum
- Andricus testaceipes
- Andricus texanus
- Andricus theophrasteus
- Andricus tibialis
- Andricus tomentosus
- Andricus torreyaensis
- Andricus tostus
- Andricus toumeyi
- Andricus trotteri
- Andricus truncicolus
- Andricus tubalis
- Andricus tubifaciens
- Andricus tubularius
- Andricus turcicus
- Andricus turnerii
- Andricus uterinus
- Andricus vacciniifoliae
- Andricus vacciniiformis
- Andricus validus
- Andricus verensis
- Andricus verutum
- Andricus verutus
- Andricus vitreus
- Andricus weldi
- Andricus wheeleri
- Andricus williami
- Andricus wiltzae































































































































































