Cynips heldae: taxon details and analytics
- Domain
- Kingdom
- Animalia
- Phylum
- Arthropoda
- Class
- Insecta
- Order
- Hymenoptera
- Family
- Cynipidae
- Genus
- Cynips
- Species
- Cynips heldae
- Scientific Name
- Cynips heldae
Cynips heldae in languages:
- English
- Thorn Gall Wasp
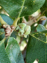
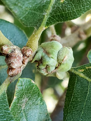
Images from inaturalist.org observations:
We recommend you sign up for this excellent, free service.
Parent Taxon
Sibling Taxa
- Cynips acraspiformis
- Cynips agama
- Cynips arida
- Cynips ashmeadi
- Cynips chica
- Cynips claripennis
- Cynips clavuloides
- Cynips conica
- Cynips conspicuus
- Cynips cornifex
- Cynips cressoni
- Cynips disticha
- Cynips divisa
- Cynips douglasii
- Cynips dugesi
- Cynips dumosae
- Cynips euconus
- Cynips fatihi
- Cynips fucosa
- Cynips fuscipennis
- Cynips glabrescens
- Cynips heldae
- Cynips hirsuta
- Cynips incomptum
- Cynips izzetbaysali
- Cynips jalisco
- Cynips korsakovi
- Cynips lanaris
- Cynips longiventris
- Cynips maculosus
- Cynips magdalenae
- Cynips mirabilis
- Cynips molucrum
- Cynips multipunctata
- Cynips mundum
- Cynips nigricula
- Cynips quercus
- Cynips quercus nigrae
- Cynips quercusechinus
- Cynips quercusfolii
- Cynips quercusnubila
- Cynips radialis
- Cynips rufulum
- Cynips rydbergiana
- Cynips scutatum
- Cynips subcostalis
- Cynips subfuscum
- Cynips subtinctum
- Cynips tepicana
- Cynips texcocana
- Cynips tinctum
- Cynips torosum
- Cynips vesiculoides
























