Cynips quercusfolii: taxon details and analytics

Domain
Kingdom
Animalia
Phylum
Arthropoda
Class
Insecta
Order
Hymenoptera
Family
Cynipidae
Genus
Cynips
Species
Cynips quercusfolii
Scientific Name
Cynips quercusfolii

Summary description from Wikipedia:

Cynips quercusfolii

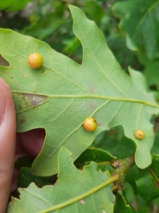
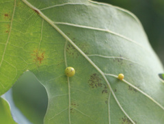
Cynips quercusfolii, also known as the cherry gall wasp, is a gall wasp species in the genus Cynips and family Cynipidae. The species is important for the production of commercial nutgall formed on Quercus lusitanica (the gall oak). Galls are located on the underside of leaves, with the majority of galls being on the second and third veins from the petiole of the leaf.

...
 

Cynips quercusfolii in languages:

Czech
žlabatka dubová
Danish
Stor galæblehveps
Dutch
Gewone eikengalwesp
Dutch
Galappelwesp
English
Cherry Gall Causer
English
Oak Cherry Gall Wasp
English
Cherry Gall Wasp
Estonian
Tamme-pahkvaablane
French
Cynips des galles
French
Cerises du chêne
French
Galle cerise du Chêne
German
Gemeine Eichengallwespe
Hungarian
golyógubacsdarázs
Lithuanian
Obuoliškoji gumbavapsvė
Polish
Galasówka dębianka
Romanian
Viespea stejarului
Russian
Обыкновенная дубовая орехотворка
Slovak
hrčiarka listová
Ukrainian
Горіхотворка дубова

Images from inaturalist.org observations:

We recommend you sign up for this excellent, free service.

Cynips quercusfolii
©Til Mann, some rights reserved (CC-BY-NC-ND)
Cynips quercusfolii
©Piermario Maculan, some rights reserved (CC-BY-NC)
Cynips quercusfolii
©Piermario Maculan, some rights reserved (CC-BY-NC)
Cynips quercusfolii
©Piermario Maculan, some rights reserved (CC-BY-NC)
Cynips quercusfolii
©chaplinav, some rights reserved (CC-BY-NC)
Cynips quercusfolii
©AWI i Pr., some rights reserved (CC-BY-NC)
Cynips quercusfolii
©nandy3, some rights reserved (CC-BY-NC)
Cynips quercusfolii
©Jeremy Barker, some rights reserved (CC-BY-NC)
Cynips quercusfolii
©Jeremy Barker, some rights reserved (CC-BY-NC)
Cynips quercusfolii
©Jeremy Barker, some rights reserved (CC-BY-NC)
Cynips quercusfolii
©mikkel65, some rights reserved (CC-BY-NC)
Cynips quercusfolii
©olka-milosnik-robakow, some rights reserved (CC-BY-NC)
Cynips quercusfolii
©druidic, some rights reserved (CC-BY-NC)
Cynips quercusfolii
©Degtyarev Nikolai Ivanovich, some rights reserved (CC-BY-NC)
Cynips quercusfolii
©Alina Romanyuk, some rights reserved (CC-BY-NC)
Cynips quercusfolii
©Alina Romanyuk, some rights reserved (CC-BY-NC)
Cynips quercusfolii
©Alina Romanyuk, some rights reserved (CC-BY-NC)
Cynips quercusfolii
©Alina Romanyuk, some rights reserved (CC-BY-NC)
Cynips quercusfolii
©Alina Romanyuk, some rights reserved (CC-BY-NC)
Cynips quercusfolii
©Walter Wimmer, some rights reserved (CC-BY-NC)
Cynips quercusfolii
©Emil Førby, some rights reserved (CC-BY-NC)
Cynips quercusfolii
©Emil Førby, some rights reserved (CC-BY-NC)
Cynips quercusfolii
©Emil Førby, some rights reserved (CC-BY-NC)
Cynips quercusfolii
©Emil Førby, some rights reserved (CC-BY-NC)
Cynips quercusfolii
©Emil Førby, some rights reserved (CC-BY-NC)
Cynips quercusfolii
©bondaruk_elena, some rights reserved (CC-BY-NC)
Cynips quercusfolii
©bondaruk_elena, some rights reserved (CC-BY-NC)
Cynips quercusfolii
©bondaruk_elena, some rights reserved (CC-BY-NC)
Cynips quercusfolii
©bondaruk_elena, some rights reserved (CC-BY-NC)
Cynips quercusfolii
©bondaruk_elena, some rights reserved (CC-BY-NC)
Cynips quercusfolii
©Steve, some rights reserved (CC-BY-NC)
Cynips quercusfolii
©Marie Lou Legrand, some rights reserved (CC-BY-NC)
Cynips quercusfolii
©Marie Lou Legrand, some rights reserved (CC-BY-NC)
Cynips quercusfolii
©Peter Gabler, some rights reserved (CC0)
Cynips quercusfolii
©Peter Gabler, some rights reserved (CC0)
Cynips quercusfolii
©Paul Cook, some rights reserved (CC-BY-NC-ND)
Cynips quercusfolii
©Paul Cook, some rights reserved (CC-BY-NC-ND)
Cynips quercusfolii
©Roman Providukhin, some rights reserved (CC-BY-NC)
Cynips quercusfolii
©Roman Providukhin, some rights reserved (CC-BY-NC)
Cynips quercusfolii
©solanaceous, some rights reserved (CC-BY-NC-SA)
Cynips quercusfolii
©Daniel Linzbauer, some rights reserved (CC-BY)
Cynips quercusfolii
©Daniel Linzbauer, some rights reserved (CC-BY)
Cynips quercusfolii
©mario_las, some rights reserved (CC-BY-NC)
Cynips quercusfolii
©mario_las, some rights reserved (CC-BY-NC)
Cynips quercusfolii
©mario_las, some rights reserved (CC-BY-NC)
Cynips quercusfolii
©mario_las, some rights reserved (CC-BY-NC)
Cynips quercusfolii
©mario_las, some rights reserved (CC-BY-NC)
Cynips quercusfolii
©naturellemoe, some rights reserved (CC-BY-NC)
Cynips quercusfolii
©Иван Матершев, some rights reserved (CC-BY-NC)
Cynips quercusfolii
©Иван Матершев, some rights reserved (CC-BY-NC)
Cynips quercusfolii
©Иван Матершев, some rights reserved (CC-BY-NC)
Cynips quercusfolii
©Иван Матершев, some rights reserved (CC-BY-NC)
Cynips quercusfolii
©alexcm, some rights reserved (CC-BY-NC)
Cynips quercusfolii
©Ivlev-Konstantin-Sergeevith, some rights reserved (CC-BY-NC)
Cynips quercusfolii
©Ivlev-Konstantin-Sergeevith, some rights reserved (CC-BY-NC)
Cynips quercusfolii
©Degtyarev Nikolai Ivanovich, some rights reserved (CC-BY-NC)
Cynips quercusfolii
©Degtyarev Nikolai Ivanovich, some rights reserved (CC-BY-NC)
Cynips quercusfolii
©Degtyarev Nikolai Ivanovich, some rights reserved (CC-BY-NC)
Cynips quercusfolii
©Degtyarev Nikolai Ivanovich, some rights reserved (CC-BY-NC)
Cynips quercusfolii
©Degtyarev Nikolai Ivanovich, some rights reserved (CC-BY-NC)
Cynips quercusfolii
©romanvrbicek, some rights reserved (CC-BY-NC)
Cynips quercusfolii
©romanvrbicek, some rights reserved (CC-BY-NC)
Cynips quercusfolii
©romanvrbicek, some rights reserved (CC-BY-NC)
Cynips quercusfolii
©romanvrbicek, some rights reserved (CC-BY-NC)
Cynips quercusfolii
©romanvrbicek, some rights reserved (CC-BY-NC)
Cynips quercusfolii
©Stephen James McWilliam, some rights reserved (CC0)
Cynips quercusfolii
©Andrew Thomas, some rights reserved (CC-BY-NC)
Cynips quercusfolii
©Klavs Nielsen, some rights reserved (CC-BY-NC)
Cynips quercusfolii
©Klavs Nielsen, some rights reserved (CC-BY-NC)
Cynips quercusfolii
©Anastasiia Merkulova, some rights reserved (CC-BY)
Cynips quercusfolii
©Anastasiia Merkulova, some rights reserved (CC-BY)
Cynips quercusfolii
©Anastasiia Merkulova, some rights reserved (CC-BY)
Cynips quercusfolii
©Anastasiia Merkulova, some rights reserved (CC-BY)
Cynips quercusfolii
©yaffel7, some rights reserved (CC-BY-NC)
Cynips quercusfolii
©Maria Pedersen, some rights reserved (CC-BY-NC)
Cynips quercusfolii
©Maria Pedersen, some rights reserved (CC-BY-NC)
Cynips quercusfolii
©Marleen Schouten, some rights reserved (CC-BY-NC)
Cynips quercusfolii
©mnimi, some rights reserved (CC-BY-NC)
Cynips quercusfolii
©mnimi, some rights reserved (CC-BY-NC)
Cynips quercusfolii
©wildeden, some rights reserved (CC-BY-NC)
Cynips quercusfolii
©cpu, some rights reserved (CC-BY-NC)
Cynips quercusfolii
©Anytimer, some rights reserved (CC-BY-NC)
Cynips quercusfolii
©Roman, some rights reserved (CC-BY)
Cynips quercusfolii
©aistespo, some rights reserved (CC-BY-NC)
Cynips quercusfolii
©Анна Анисимова, some rights reserved (CC0)
Cynips quercusfolii
©alexandra_smirnova, some rights reserved (CC-BY-NC)
Cynips quercusfolii
©alexandra_smirnova, some rights reserved (CC-BY-NC)
Cynips quercusfolii
©alexandra_smirnova, some rights reserved (CC-BY-NC)
Cynips quercusfolii
©schongenug, some rights reserved (CC-BY-NC)
Cynips quercusfolii
©schongenug, some rights reserved (CC-BY-NC)
Cynips quercusfolii
©Ahmed Mujčinović, some rights reserved (CC-BY-NC-SA)
Cynips quercusfolii
©Łukasz Aksamit, some rights reserved (CC-BY-NC)
Cynips quercusfolii
©Mirela, some rights reserved (CC-BY-NC)
Cynips quercusfolii
©Иван Матершев, some rights reserved (CC-BY-NC)
Cynips quercusfolii
©Иван Матершев, some rights reserved (CC-BY-NC)
Cynips quercusfolii
©Иван Матершев, some rights reserved (CC-BY-NC)
Cynips quercusfolii
©Иван Матершев, some rights reserved (CC-BY-NC)
Cynips quercusfolii
©piecastella, some rights reserved (CC-BY-NC)
Cynips quercusfolii
©Mona Phipps, some rights reserved (CC-BY-NC)
Cynips quercusfolii
©Mona Phipps, some rights reserved (CC-BY-NC)
Cynips quercusfolii
©dirkpetersmann, some rights reserved (CC-BY-NC)
Cynips quercusfolii
©Иван Матершев, some rights reserved (CC-BY-NC)
Cynips quercusfolii
©Иван Матершев, some rights reserved (CC-BY-NC)
Cynips quercusfolii
©Иван Матершев, some rights reserved (CC-BY-NC)
Cynips quercusfolii
©Wendy Herniman, some rights reserved (CC-BY)
Cynips quercusfolii
©Wendy Herniman, some rights reserved (CC-BY)
Cynips quercusfolii
©Wendy Herniman, some rights reserved (CC-BY)
Cynips quercusfolii
©Wendy Herniman, some rights reserved (CC-BY)
Cynips quercusfolii
©Gulsen Cingoz, some rights reserved (CC-BY-NC)
Cynips quercusfolii
©Gulsen Cingoz, some rights reserved (CC-BY-NC)
Cynips quercusfolii
©Gulsen Cingoz, some rights reserved (CC-BY-NC)
Cynips quercusfolii
©Gulsen Cingoz, some rights reserved (CC-BY-NC)
Cynips quercusfolii
©Coby Meester, some rights reserved (CC-BY-NC)
Cynips quercusfolii
©Andreas Manz, some rights reserved (CC-BY-NC)
Cynips quercusfolii
©Andreas Manz, some rights reserved (CC-BY-NC)
Cynips quercusfolii
©Andreas Manz, some rights reserved (CC-BY-NC)
Cynips quercusfolii
©R Clarke, some rights reserved (CC-BY-NC)
Cynips quercusfolii
©R Clarke, some rights reserved (CC-BY-NC)
Cynips quercusfolii
©Илья Оголь, some rights reserved (CC-BY-NC)
Cynips quercusfolii
©Coby Meester, some rights reserved (CC-BY-NC)
Cynips quercusfolii
©Alexandra Richter, some rights reserved (CC-BY-NC)
Cynips quercusfolii
©Jean-Marie Frenoux, some rights reserved (CC-BY-NC)
Cynips quercusfolii
©Jean-Marie Frenoux, some rights reserved (CC-BY-NC)
Cynips quercusfolii
©Jean-Marie Frenoux, some rights reserved (CC-BY-NC)
Cynips quercusfolii
©Jean-Marie Frenoux, some rights reserved (CC-BY-NC)
Cynips quercusfolii
©Jean-Marie Frenoux, some rights reserved (CC-BY-NC)
Cynips quercusfolii
©Jean-Marie Frenoux, some rights reserved (CC-BY-NC)
Cynips quercusfolii
©Jean-Marie Frenoux, some rights reserved (CC-BY-NC)
Cynips quercusfolii
©yoann387, some rights reserved (CC-BY-NC)
Cynips quercusfolii
©Jean-Marie Frenoux, some rights reserved (CC-BY-NC)
Cynips quercusfolii
©Jean-Marie Frenoux, some rights reserved (CC-BY-NC)
Cynips quercusfolii
©Jean-Marie Frenoux, some rights reserved (CC-BY-NC)
Cynips quercusfolii
©Jean-Marie Frenoux, some rights reserved (CC-BY-NC)
Cynips quercusfolii
©alexcm, some rights reserved (CC-BY-NC)
Cynips quercusfolii
©alexcm, some rights reserved (CC-BY-NC)
Cynips quercusfolii
©Jean-Marie Frenoux, some rights reserved (CC-BY-NC)
Cynips quercusfolii
©Jean-Marie Frenoux, some rights reserved (CC-BY-NC)
Cynips quercusfolii
©Jean-Marie Frenoux, some rights reserved (CC-BY-NC)
Cynips quercusfolii
©tuggip_t, some rights reserved (CC-BY-NC)
Cynips quercusfolii
©tuggip_t, some rights reserved (CC-BY-NC)
Cynips quercusfolii
©tuggip_t, some rights reserved (CC-BY-NC)
Cynips quercusfolii
©tuggip_t, some rights reserved (CC-BY-NC)
Cynips quercusfolii
©jfb22, some rights reserved (CC-BY-NC)
Cynips quercusfolii
©jfb22, some rights reserved (CC-BY-NC)
Cynips quercusfolii
©jfb22, some rights reserved (CC-BY-NC)
Cynips quercusfolii
©Jean-Marie Frenoux, some rights reserved (CC-BY-NC)
Cynips quercusfolii
©Jean-Marie Frenoux, some rights reserved (CC-BY-NC)
Cynips quercusfolii
©Jean-Marie Frenoux, some rights reserved (CC-BY-NC)
Cynips quercusfolii
©alexcm, some rights reserved (CC-BY-NC)
Cynips quercusfolii
©kendall12k, some rights reserved (CC-BY-NC)
Cynips quercusfolii
©kendall12k, some rights reserved (CC-BY-NC)
Cynips quercusfolii
©kendall12k, some rights reserved (CC-BY-NC)
Cynips quercusfolii
©mrrunshak, some rights reserved (CC-BY-NC)
Cynips quercusfolii
©lenaquist, some rights reserved (CC-BY-NC)
Cynips quercusfolii
©lenaquist, some rights reserved (CC-BY-NC)
Cynips quercusfolii
©Vytautas, some rights reserved (CC-BY-NC)
Cynips quercusfolii
©Марина Садыкова, some rights reserved (CC-BY)
Cynips quercusfolii
©symetrk, some rights reserved (CC-BY-NC)
Cynips quercusfolii
©jenwrenhall, some rights reserved (CC-BY-NC)
Cynips quercusfolii
©Andrée Weigel, some rights reserved (CC-BY-NC-ND)