Diplodus caudimacula: taxon details and analytics
- Domain
- Kingdom
- Animalia
- Phylum
- Chordata
- Class
- Actinopterygii
- Order
- Acanthuriformes
- Family
- Sparidae
- Genus
- Diplodus
- Species
- Diplodus caudimacula
- Scientific Name
- Diplodus caudimacula
Summary description from Wikipedia:
Diplodus caudimacula in languages:
- Chinese
- 尾斑銀重牙鯛
- Czech
- mořan stříbrný skvrnoocasý
- English
- Silver Porgy
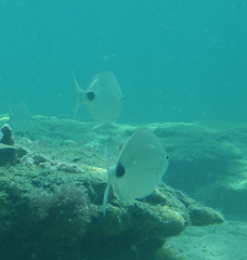
Images from inaturalist.org observations:
We recommend you sign up for this excellent, free service.
Parent Taxon
Sibling Taxa
- Diplodus annularis
- Diplodus argenteus
- Diplodus ascensionis
- Diplodus bellottii
- Diplodus bermudensis
- Diplodus cadenati
- Diplodus capensis
- Diplodus caudimacula
- Diplodus cervinus
- Diplodus fasciatus
- Diplodus helenae
- Diplodus holbrookii
- Diplodus hottentotus
- Diplodus kotschyi
- Diplodus levantinus
- Diplodus lineatus
- Diplodus noct
- Diplodus omanensis
- Diplodus prayensis
- Diplodus puntazzo
- Diplodus sargus
- Diplodus striatus
- Diplodus vulgaris




















