Diplodus sargus: taxon details and analytics
- Domain
- Kingdom
- Animalia
- Phylum
- Chordata
- Class
- Actinopterygii
- Order
- Acanthuriformes
- Family
- Sparidae
- Genus
- Diplodus
- Species
- Diplodus sargus
- Scientific Name
- Diplodus sargus
Summary description from Wikipedia:
Sargo
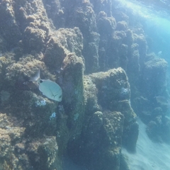
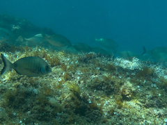
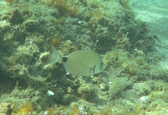
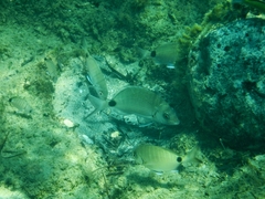
Diplodus sargus, the sargo, common white seabream, or white seabream is a species of marine ray-finned fish belonging to the family Sparidae, which includes the seabreams and porgies. This fish is found in the eastern Atlantic Ocean and in the Mediterranean Sea. It is a target species for commercial fisheries and is grown in aquaculture. D. sargus sensu lato was formerly thought to be a widespread species in the eastern Atlantic and western Indian Oceans but the taxa outside of D, sargus sensu stricto are now recognised as valid species and are part of the D. sargus species complex.
...Diplodus sargus in languages:
- Afrikaans
- Dassie
- Catalan
- Sarg
- Catalan
- Sard
- Chinese
- 沙重牙鯛
- Croatian
- Šarag
- Danish
- Sorthale
- Dutch
- Zilveren zeebrasem
- Dutch
- Bandzeebrasem
- English
- White Bream
- English
- White sea bream
- English
- Blacktail
- English
- Sargo
- French
- Sar commun de Méditerranée
- Galician
- Sargo común
- German
- Geißbrasse
- Hebrew
- סרגוס מסורטט
- Hungarian
- Fehér durbincs
- Italian
- Sarago maggiore
- Modern Greek
- Σαργός
- Polish
- Sargus
- Portuguese
- Sargo-legítimo
- Russian
- Белый сарг
- Swedish
- vitblecka
- Turkish
- Sargos
- Ukrainian
- Морський карась великий
- Ukrainian
- Сарг
Images from inaturalist.org observations:
We recommend you sign up for this excellent, free service.
Parent Taxon
Sibling Taxa
- Diplodus annularis
- Diplodus argenteus
- Diplodus ascensionis
- Diplodus bellottii
- Diplodus bermudensis
- Diplodus cadenati
- Diplodus capensis
- Diplodus caudimacula
- Diplodus cervinus
- Diplodus fasciatus
- Diplodus helenae
- Diplodus holbrookii
- Diplodus hottentotus
- Diplodus kotschyi
- Diplodus levantinus
- Diplodus lineatus
- Diplodus noct
- Diplodus omanensis
- Diplodus prayensis
- Diplodus puntazzo
- Diplodus sargus
- Diplodus striatus
- Diplodus vulgaris































































































































































