Disholcaspis: taxon details and analytics
- Domain
- Kingdom
- Animalia
- Phylum
- Arthropoda
- Class
- Insecta
- Order
- Hymenoptera
- Family
- Cynipidae
- Genus
- Disholcaspis
- Species
- Scientific Name
- Disholcaspis
Summary description from Wikipedia:
Disholcaspis
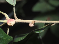
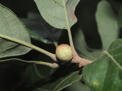
Disholcaspis is a genus of gall wasps in the family Cynipidae. There are more than 40 species described in the genus Disholcaspis. Some Disholcaspis species induce galls that produce honeydew, a sweet liquid that attracts yellow jackets, ants, and bees. These insects then protect the galls from parasitic wasps.
...Images from inaturalist.org observations:
We recommend you sign up for this excellent, free service.
Parent Taxon
Sibling Taxa
- Acraspis
- Amphibolips
- Andricus
- Antron
- Aphelonyx
- Atrusca
- Barucynips
- Bassettia
- Belonocnema
- Biorhiza
- Burnettweldia
- Callirhytis
- Cerroneuroterus
- Chilaspis
- Coffeikokkos
- Cyclocynips
- Cycloneuroterus
- Cynips
- Disholandricus
- Disholcaspis
- Dros
- Druon
- Dryocosmus
- Erythres
- Eumayria
- Eumayriella
- Feron
- Grahamstoneia
- Heteroecus
- Holocynips
- Kinseyella
- Kokkocynips
- Latuspina
- Loxaulus
- Melikaiella
- Neuroterus
- Nichollsiella
- Odontocynips
- Paracraspis
- Philonix
- Phylloteras
- Plagiotrochus
- Protobalandricus
- Pseudoneuroterus
- Sphaeroteras
- Striatoandricus
- Trichagalma
- Trichoteras
- Trigonaspis
- Xanthoteras
- Zapatella
- Zopheroteras
Child Taxa
- Disholcaspis acetabula
- Disholcaspis bassetti
- Disholcaspis canescens
- Disholcaspis cinerosa
- Disholcaspis costaricensis
- Disholcaspis crystalae
- Disholcaspis edura
- Disholcaspis eldoradensis
- Disholcaspis erugomamma
- Disholcaspis fungiformis
- Disholcaspis globosa
- Disholcaspis insulana
- Disholcaspis lacuna
- Disholcaspis laetae
- Disholcaspis largior
- Disholcaspis mamillana
- Disholcaspis mellifica
- Disholcaspis mexicana
- Disholcaspis pallens
- Disholcaspis pattersoni
- Disholcaspis pedunculoides
- Disholcaspis perniciosa
- Disholcaspis potosina
- Disholcaspis prehensa
- Disholcaspis pruniformis
- Disholcaspis pulla
- Disholcaspis purlans
- Disholcaspis purpurea
- Disholcaspis quercusglobulus
- Disholcaspis quercusmamma
- Disholcaspis quercusomnivora
- Disholcaspis quercusvirens
- Disholcaspis regina
- Disholcaspis rubens
- Disholcaspis simulata
- Disholcaspis spissa
- Disholcaspis spongiosa
- Disholcaspis terrestris
- Disholcaspis unicolor
- Disholcaspis weldi































































































































































