Dryocosmus: taxon details and analytics
- Domain
- Kingdom
- Animalia
- Phylum
- Arthropoda
- Class
- Insecta
- Order
- Hymenoptera
- Family
- Cynipidae
- Genus
- Dryocosmus
- Species
- Scientific Name
- Dryocosmus
Summary description from Wikipedia:
Dryocosmus
Dryocosmus are a genus of gall wasps. They are cyclically parthenogenetic insects that induce galls on plants in the family Fagaceae.
According to recent studies, the genus includes some species previously considered as belonging to the genus Chilaspis, whereas Dryocosmus favus should be excluded of the genus. Dryocosmus and Chilaspis are closely related to the other oak gall wasp taxa (Aphelonyx, Plagiotrochus, Pseudoneuroterus, Trichagalma, and some Neuroterus species)
Dryocosmus kuriphilus is an invasive species in Europe and North America (originating from Asia) that endangers the chestnut trees.
...Dryocosmus in languages:
- Korean
- 밤나무혹벌속
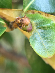
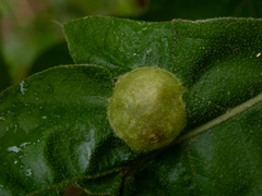
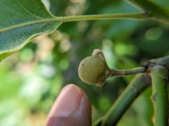
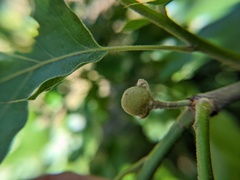
Images from inaturalist.org observations:
We recommend you sign up for this excellent, free service.
Parent Taxon
Sibling Taxa
- Acraspis
- Amphibolips
- Andricus
- Antron
- Aphelonyx
- Atrusca
- Barucynips
- Bassettia
- Belonocnema
- Biorhiza
- Burnettweldia
- Callirhytis
- Cerroneuroterus
- Chilaspis
- Coffeikokkos
- Cyclocynips
- Cycloneuroterus
- Cynips
- Disholandricus
- Disholcaspis
- Dros
- Druon
- Dryocosmus
- Erythres
- Eumayria
- Eumayriella
- Feron
- Grahamstoneia
- Heteroecus
- Holocynips
- Kinseyella
- Kokkocynips
- Latuspina
- Loxaulus
- Melikaiella
- Neuroterus
- Nichollsiella
- Odontocynips
- Paracraspis
- Philonix
- Phylloteras
- Plagiotrochus
- Protobalandricus
- Pseudoneuroterus
- Sphaeroteras
- Striatoandricus
- Trichagalma
- Trichoteras
- Trigonaspis
- Xanthoteras
- Zapatella
- Zopheroteras
Child Taxa
- Dryocosmus albidus
- Dryocosmus archboldi
- Dryocosmus asymmetricus
- Dryocosmus castanopsidis
- Dryocosmus cinereae
- Dryocosmus demartinii
- Dryocosmus destefanii
- Dryocosmus dubiosus
- Dryocosmus favus
- Dryocosmus floridensis
- Dryocosmus juliae
- Dryocosmus kuriphilus
- Dryocosmus liui
- Dryocosmus minusculus
- Dryocosmus murakamii
- Dryocosmus quercuslaurifoliae
- Dryocosmus quercusnotha
- Dryocosmus quercuspalustris
- Dryocosmus rileypokei
- Dryocosmus sakureiensis
- Dryocosmus sefuriensis
- Dryocosmus testisimilis































































































































































