Ectrichodiinae: taxon details and analytics
- Domain
- Kingdom
- Animalia
- Phylum
- Arthropoda
- Class
- Insecta
- Order
- Hemiptera
- Family
- Reduviidae
- Genus
- Species
- Scientific Name
- Ectrichodiinae
Summary description from Wikipedia:
Ectrichodiinae
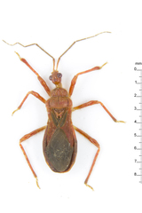
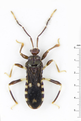
The Ectrichodiinae are a subfamily of assassin bugs (Reduviidae) known for specializing on millipedes as prey. The group comprises more than 600 species in about 115 genera, making it a fairly large subfamily. The bugs are also known for their aposematic coloration, often brightly colored metallic blue, red, or yellow.
Species of this subfamily hide under leaf litter and sometimes boulders and hunt at night.
Females have wing reduction and or/ extreme sexual dimorphism.
...Ectrichodiinae in languages:
- Chinese
- 光獵蝽亞科
- English
- Millipede Assassin Bugs
- Japanese
- ビロウドサシガメ亜科
Images from inaturalist.org observations:
We recommend you sign up for this excellent, free service.
Parent Taxon
Sibling Taxa
Child Taxa
- Bayerus
- Brontostoma
- Caecina
- Cimbus
- Cleptria
- Cricetopareis
- Daraxa
- Ectrichodia
- Ectrichodiini
- Ectrychotes
- Glymmatophora
- Haematoloecha
- Haematorrhophus
- Hexamerocerus
- Jorgcoris
- Katanga
- Labidocoris
- Maraenaspis
- Microstemmidea
- Paracleptria
- Parascadra
- Philodoxus
- Pothea
- Pseudozirta
- Racelda
- Rhiginia
- Santosia
- Scadra
- Schottus
- Sinchocoris
- Tanindrazanus
- Vilius
- Zirta






























































































































































