Glossogobius: taxon details and analytics
- Domain
- Kingdom
- Animalia
- Phylum
- Chordata
- Class
- Actinopterygii
- Order
- Gobiiformes
- Family
- Gobiidae
- Genus
- Glossogobius
- Species
- Scientific Name
- Glossogobius
Summary description from Wikipedia:
Glossogobius
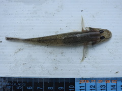
Glossogobius is a genus of gobies native to fresh, brackish and marine waters from Africa to the coasts of the western Pacific Ocean. They are found in Madagascar, South Africa, Japan, Thailand, Australia, Indonesia, Bangladesh, the Philippines, Taiwan, Papua New Guinea, Singapore, Malawi, Eswatini, Botswana, Kenya, Zimbabwe, Tanzania, Mozambique, the Solomon Islands, Palau, Fiji, New Caledonia, India, Laos, Sri Lanka, Myanmar, Borneo, Nepal, Brunei Darussalam, Micronesia, Cambodia, Vietnam, China, Réunion, the Seychelles, Mauritius, the Caroline Islands, Vanuatu, Malaysia and Russia. The genus also includes a troglobitic species, G. ankaranensis.
...Glossogobius in languages:
- Chinese
- 叉舌鰕虎屬
- English
- Flathead Gobies
- Japanese
- ウロハゼ属
- Russian
- Глоссогобиусы
Images from inaturalist.org observations:
We recommend you sign up for this excellent, free service.
Parent Taxon
Sibling Taxa
- Aboma
- Acentrogobius
- Afurcagobius
- Akko
- Amblyeleotris
- Amblygobius
- Anatirostrum
- Ancistrogobius
- Antilligobius
- Aphia
- Arcygobius
- Arenigobius
- Aruma
- Asterropteryx
- Aulopareia
- Austrolethops
- Babka
- Barbulifer
- Barbuligobius
- Bathygobius
- Benthophiloides
- Benthophilus
- Birdsongichthys
- Bollmannia
- Bryaninops
- Cabillus
- Caffrogobius
- Callogobius
- Carrigobius
- Caspiosoma
- Cerogobius
- Chriolepis
- Chromogobius
- Corcyrogobius
- Coryogalops
- Coryphopterus
- Cristatogobius
- Croilia
- Cryptocentroides
- Cryptocentrus
- Cryptopsilotris
- Ctenogobiops
- Didogobius
- Discordipinna
- Dotsugobius
- Drombus
- Ebomegobius
- Echinogobius
- Egglestonichthys
- Ego
- Elacatinus
- Eleotrica
- Evermannichthys
- Eviota
- Exyrias
- Favonigobius
- Feia
- Fusigobius
- Gammogobius
- Ginsburgellus
- Gladiogobius
- Glossogobius
- Gobiodon
- Gobiopsis
- Gobiosoma
- Gobius
- Gobulus
- Gorogobius
- Grallenia
- Gymneleotris
- Gymnesigobius
- Hazeus
- Hetereleotris
- Heterogobius
- Heteroplopomus
- Istigobius
- Kelloggella
- Koumansetta
- Larsonella
- Lesueurigobius
- Lobulogobius
- Lophogobius
- Lotilia
- Lubricogobius
- Luposicya
- Lythrypnus
- Macrodontogobius
- Mahidolia
- Mangarinus
- Mauligobius
- Mesogobius
- Microgobius
- Millerigobius
- Minysicya
- Mizogobius
- Myersina
- Nematogobius
- Neogobius
- Nes
- Obliquogobius
- Odondebuenia
- Ophiogobius
- Oplopomops
- Oplopomus
- Opua
- Padogobius
- Paedovaricus
- Palatogobius
- Palutrus
- Parachaeturichthys
- Paragobiodon
- Paratrimma
- Pariah
- Parkraemeria
- Parrella
- Pascua
- Phoxacromion
- Phyllogobius
- Pinnichthys
- Platygobiopsis
- Pleurosicya
- Ponticola
- Porogobius
- Priolepis
- Proterorhinus
- Psammogobius
- Psilogobius
- Psilotris
- Rhinogobiops
- Risor
- Robinsichthys
- Signigobius
- Silhouettea
- Stonogobiops
- Sueviota
- Sufflogobius
- Thorogobius
- Tigrigobius
- Tomiyamichthys
- Trimma
- Trimmatom
- Tryssogobius
- Valenciennea
- Vanderhorstia
- Vanneaugobius
- Varicus
- Vomerogobius
- Wheelerigobius
- Yoga
- Yongeichthys
- Zebrus
Child Taxa
- Glossogobius ankaranensis
- Glossogobius asaro
- Glossogobius aureus
- Glossogobius bellendenensis
- Glossogobius bicirrhosus
- Glossogobius brunnoides
- Glossogobius bulmeri
- Glossogobius callidus
- Glossogobius celebius
- Glossogobius circumspectus
- Glossogobius clitellus
- Glossogobius coatesi
- Glossogobius concavifrons
- Glossogobius flavipinnis
- Glossogobius giuris
- Glossogobius gnomus
- Glossogobius hoesei
- Glossogobius illimis
- Glossogobius intermedius
- Glossogobius kokius
- Glossogobius koragensis
- Glossogobius laticeps
- Glossogobius macrocephalus
- Glossogobius mahalonensis
- Glossogobius matanensis
- Glossogobius minutus
- Glossogobius multipapillus
- Glossogobius munroi
- Glossogobius muscorum
- Glossogobius nanus
- Glossogobius obscuripinnis
- Glossogobius olivaceus
- Glossogobius pumilus
- Glossogobius robertsi
- Glossogobius sandakanensis
- Glossogobius sentaniensis
- Glossogobius sparsipapillus
- Glossogobius tenuiformis
- Glossogobius torrentis






























































































































































