Nephrotoma: taxon details and analytics
- Domain
- Kingdom
- Animalia
- Phylum
- Arthropoda
- Class
- Insecta
- Order
- Diptera
- Family
- Tipulidae
- Genus
- Nephrotoma
- Species
- Scientific Name
- Nephrotoma
Summary description from Wikipedia:
Nephrotoma
Nephrotoma is a genus of crane flies.
For terms see Morphology of Diptera.
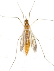
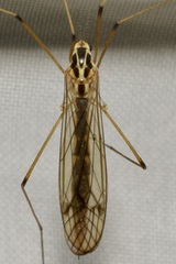
Nephrotoma species have a lustrous body, appearing yellow with black or brown stripes and spots. If the body is black, there are coloured bands on the abdomen. The prescutum has three stripes. The proboscis (rostrum) is short and the antennae are verticillate. The subcosta (Sc) fuses with radial vein R slightly distal to the base of the radial sector vein Rs whilst no longer than the mediocubital cross-vein (m-cu). The first media vein termination (m1) is sessile, rarely short and petiolate. The m-cu is located before the base of the discal cell (d). The male genitalia segment Tergite-9 has microscopic black streaks at the apex.
The species are found in deciduous and mixed forests, shrubland and moist meadows.
The larvae live in soil and are sometimes harmful to agricultural crops and ornamental plants.
...Nephrotoma in languages:
- Chinese
- 黃斑大蚊屬
- Czech
- tiplice
- English
- Tiger Crane Flies
- English
- Tiger Craneflies
- Finnish
- niittykirsikkäät
- German
- Krähenschnaken
- Japanese
- ホソガガンボ属
- Korean
- 황나각다귀속
- Russian
- Пестроножки
Images from inaturalist.org observations:
We recommend you sign up for this excellent, free service.
Parent Taxon
Sibling Taxa
Child Taxa
- Nephrotoma abbreviata
- Nephrotoma aberdarensis
- Nephrotoma aculeata
- Nephrotoma aethiopica
- Nephrotoma affinis
- Nephrotoma albonigra
- Nephrotoma alexandriana
- Nephrotoma alterna
- Nephrotoma altissima
- Nephrotoma analis
- Nephrotoma antennata
- Nephrotoma appendiculata
- Nephrotoma aurantiaca
- Nephrotoma australasiae
- Nephrotoma austriaca
- Nephrotoma basutoensis
- Nephrotoma blepharipus
- Nephrotoma byersi
- Nephrotoma catenata
- Nephrotoma cingulata
- Nephrotoma clanceyi
- Nephrotoma contristans
- Nephrotoma cornicina
- Nephrotoma crocata
- Nephrotoma croceiventris
- Nephrotoma dampfi
- Nephrotoma delegorguei
- Nephrotoma dorsalis
- Nephrotoma dorsata
- Nephrotoma durangensis
- Nephrotoma edwardsi
- Nephrotoma eucera
- Nephrotoma experta
- Nephrotoma ferruginea
- Nephrotoma flavescens
- Nephrotoma flavipalpis
- Nephrotoma fuscescens
- Nephrotoma geniculata
- Nephrotoma guestfalica
- Nephrotoma helvetica
- Nephrotoma hemichroa
- Nephrotoma javensis
- Nephrotoma lamellata
- Nephrotoma livingstonei
- Nephrotoma lordhowensis
- Nephrotoma lugens
- Nephrotoma lundbecki
- Nephrotoma lunulicornis
- Nephrotoma luteata
- Nephrotoma macrocephala
- Nephrotoma macrocera
- Nephrotoma malickyi
- Nephrotoma marshalli
- Nephrotoma mexicana
- Nephrotoma mossambica
- Nephrotoma navajo
- Nephrotoma nigrolutea
- Nephrotoma nigronitens
- Nephrotoma nigrostylata
- Nephrotoma nox
- Nephrotoma nyasa
- Nephrotoma occipitalis
- Nephrotoma okefenoke
- Nephrotoma omeiana
- Nephrotoma ordinaria
- Nephrotoma pedunculata
- Nephrotoma perincisa
- Nephrotoma pertenua
- Nephrotoma pratensis
- Nephrotoma quadrifaria
- Nephrotoma quadristriata
- Nephrotoma rectispina
- Nephrotoma rufolateralis
- Nephrotoma sarcophagaeformis
- Nephrotoma scalaris
- Nephrotoma scurra
- Nephrotoma semiflava
- Nephrotoma setigena
- Nephrotoma siamensis
- Nephrotoma strenua
- Nephrotoma subalterna
- Nephrotoma submaculosa
- Nephrotoma sullingtonensis
- Nephrotoma suturalis
- Nephrotoma tenuipes
- Nephrotoma tenuis
- Nephrotoma tessellans
- Nephrotoma tetra
- Nephrotoma theowaldi
- Nephrotoma tricincta
- Nephrotoma tzitzikamae
- Nephrotoma umbripennis
- Nephrotoma unicingulata
- Nephrotoma vicaria
- Nephrotoma vinsoniana
- Nephrotoma virescens
- Nephrotoma virgata
- Nephrotoma vittula
- Nephrotoma walkeri
- Nephrotoma wulpiana
Top Observation Places
- Eugene
- Jamshedpur
- Nippes
- Vicenza
- Tomsk
- Strasbourg
- Malmö
- Orem
- Athens
- Cedar Rapids
- Reẖovot
- Victoria
- Odense
- Cardiff
- Calgary
- Torreón
- Bahçelievler
- Mississauga
- Rennes
- Salford
- Sale
- Morelia
- Lake Forest
- Melbourne
- Oviedo
- Stockholm
- Södermalm
- Kungsholmen
- Vasastan
- Mestre
- Maharagama
- Seosan
- Lincoln
- Framingham
- Santiago de Querétaro
- Kraków
- Oakland
- Berkeley
- Gent
- Moncalieri
- Madrid
- Carabanchel
- Ciudad Lineal
- Fuencarral-El Pardo
- Tetuán de las Victorias
- Madrid Centro
- Arganzuela
- Salamanca
- Chamberí
- Usera































































































































































