Nephrotoma scalaris: taxon details and analytics
- Domain
- Kingdom
- Animalia
- Phylum
- Arthropoda
- Class
- Insecta
- Order
- Diptera
- Family
- Tipulidae
- Genus
- Nephrotoma
- Species
- Nephrotoma scalaris
- Scientific Name
- Nephrotoma scalaris
Summary description from Wikipedia:
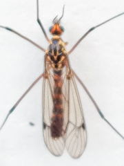
Nephrotoma scalaris
De laddertijger (Nephrotoma scalaris) is een tweevleugelige uit de familie langpootmuggen (Tipulidae). De soort komt voor in het Palearctisch gebied.
...Images from inaturalist.org observations:
We recommend you sign up for this excellent, free service.
Parent Taxon
Sibling Taxa
- Nephrotoma abbreviata
- Nephrotoma aberdarensis
- Nephrotoma aculeata
- Nephrotoma aethiopica
- Nephrotoma affinis
- Nephrotoma albonigra
- Nephrotoma alexandriana
- Nephrotoma alterna
- Nephrotoma altissima
- Nephrotoma analis
- Nephrotoma antennata
- Nephrotoma appendiculata
- Nephrotoma aurantiaca
- Nephrotoma australasiae
- Nephrotoma austriaca
- Nephrotoma basutoensis
- Nephrotoma blepharipus
- Nephrotoma byersi
- Nephrotoma catenata
- Nephrotoma cingulata
- Nephrotoma clanceyi
- Nephrotoma contristans
- Nephrotoma cornicina
- Nephrotoma crocata
- Nephrotoma croceiventris
- Nephrotoma dampfi
- Nephrotoma delegorguei
- Nephrotoma dorsalis
- Nephrotoma dorsata
- Nephrotoma durangensis
- Nephrotoma edwardsi
- Nephrotoma eucera
- Nephrotoma experta
- Nephrotoma ferruginea
- Nephrotoma flavescens
- Nephrotoma flavipalpis
- Nephrotoma fuscescens
- Nephrotoma geniculata
- Nephrotoma guestfalica
- Nephrotoma helvetica
- Nephrotoma hemichroa
- Nephrotoma javensis
- Nephrotoma lamellata
- Nephrotoma livingstonei
- Nephrotoma lordhowensis
- Nephrotoma lugens
- Nephrotoma lundbecki
- Nephrotoma lunulicornis
- Nephrotoma luteata
- Nephrotoma macrocephala
- Nephrotoma macrocera
- Nephrotoma malickyi
- Nephrotoma marshalli
- Nephrotoma mexicana
- Nephrotoma mossambica
- Nephrotoma navajo
- Nephrotoma nigrolutea
- Nephrotoma nigronitens
- Nephrotoma nigrostylata
- Nephrotoma nox
- Nephrotoma nyasa
- Nephrotoma occipitalis
- Nephrotoma okefenoke
- Nephrotoma omeiana
- Nephrotoma ordinaria
- Nephrotoma pedunculata
- Nephrotoma perincisa
- Nephrotoma pertenua
- Nephrotoma pratensis
- Nephrotoma quadrifaria
- Nephrotoma quadristriata
- Nephrotoma rectispina
- Nephrotoma rufolateralis
- Nephrotoma sarcophagaeformis
- Nephrotoma scalaris
- Nephrotoma scurra
- Nephrotoma semiflava
- Nephrotoma setigena
- Nephrotoma siamensis
- Nephrotoma strenua
- Nephrotoma subalterna
- Nephrotoma submaculosa
- Nephrotoma sullingtonensis
- Nephrotoma suturalis
- Nephrotoma tenuipes
- Nephrotoma tenuis
- Nephrotoma tessellans
- Nephrotoma tetra
- Nephrotoma theowaldi
- Nephrotoma tricincta
- Nephrotoma tzitzikamae
- Nephrotoma umbripennis
- Nephrotoma unicingulata
- Nephrotoma vicaria
- Nephrotoma vinsoniana
- Nephrotoma virescens
- Nephrotoma virgata
- Nephrotoma vittula
- Nephrotoma walkeri
- Nephrotoma wulpiana



















































































