Oberea deficiens: taxon details and analytics
- Domain
- Kingdom
- Animalia
- Phylum
- Arthropoda
- Class
- Insecta
- Order
- Coleoptera
- Family
- Cerambycidae
- Genus
- Oberea
- Species
- Oberea deficiens
- Scientific Name
- Oberea deficiens
Summary description from Wikipedia:
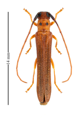
Oberea deficiens
Oberea deficiens is a species of beetle in the family Cerambycidae. It was described by Thomas Lincoln Casey Jr. in 1924. It is known from Canada.
...Parent Taxon
Sibling Taxa
- Oberea adumbrata
- Oberea affinis
- Oberea atropunctata
- Oberea balineae
- Oberea binotaticollis
- Oberea caseyi
- Oberea ceylonica
- Oberea curialis
- Oberea deficiens
- Oberea delongi
- Oberea depressa
- Oberea erythrocephala
- Oberea euphorbiae
- Oberea ferruginea
- Oberea flavipes
- Oberea formosana
- Oberea fuscipennis
- Oberea gracilis
- Oberea gracillima
- Oberea hebescens
- Oberea heyrovskyi
- Oberea histrionis
- Oberea inclusa
- Oberea infranigrescens
- Oberea japonica
- Oberea kanarensis
- Oberea kandyana
- Oberea kostini
- Oberea lateapicalis
- Oberea linearis
- Oberea meridionalis
- Oberea moravica
- Oberea morio
- Oberea myops
- Oberea nigriceps
- Oberea nigrocincta
- Oberea nyassana
- Oberea ocellata
- Oberea oculata
- Oberea oculaticollis
- Oberea ornativentris
- Oberea pallida
- Oberea pedemontana
- Oberea perspicillata
- Oberea praelonga
- Oberea pruinosa
- Oberea pseudovaricornis
- Oberea pupillata
- Oberea quadricallosa
- Oberea reductesignata
- Oberea rhodesica
- Oberea rubetra
- Oberea ruficollis
- Oberea sansibarica
- Oberea schaumii
- Oberea scutellaris
- Oberea seminigra
- Oberea semiorbifera
- Oberea shirahatai
- Oberea subbasalis
- Oberea subvaricornis
- Oberea trigonalis
- Oberea tripunctata
- Oberea ulmicola
- Oberea vittata
- Oberea walkeri
- Oberea wittei


