Oberea erythrocephala: taxon details and analytics
- Domain
- Kingdom
- Animalia
- Phylum
- Arthropoda
- Class
- Insecta
- Order
- Coleoptera
- Family
- Cerambycidae
- Genus
- Oberea
- Species
- Oberea erythrocephala
- Scientific Name
- Oberea erythrocephala
Summary description from Wikipedia:
Oberea erythrocephala
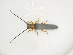
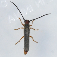
Oberea erythrocephala, the leafy spurge stem boring beetle or red-headed leafy spurge stem borer is a species of longhorn beetle that is a biological control agent for leafy spurge. It is an effective killer of the pest but only works on certain strains of leafy spurge, namely the subgenus Esula of the genus Euphorbia. Because of this, the beetle is considered as secondary in leafy spurge control to five species of Aphthona flea beetle.
...Oberea erythrocephala in languages:
- German
- Rothaariger Blattwurmstielbohrer
- Lithuanian
- Karpažolinis šerdgraužis
Images from inaturalist.org observations:
We recommend you sign up for this excellent, free service.
Parent Taxon
Sibling Taxa
- Oberea adumbrata
- Oberea affinis
- Oberea atropunctata
- Oberea balineae
- Oberea binotaticollis
- Oberea caseyi
- Oberea ceylonica
- Oberea curialis
- Oberea deficiens
- Oberea delongi
- Oberea depressa
- Oberea erythrocephala
- Oberea euphorbiae
- Oberea ferruginea
- Oberea flavipes
- Oberea formosana
- Oberea fuscipennis
- Oberea gracilis
- Oberea gracillima
- Oberea hebescens
- Oberea heyrovskyi
- Oberea histrionis
- Oberea inclusa
- Oberea infranigrescens
- Oberea japonica
- Oberea kanarensis
- Oberea kandyana
- Oberea kostini
- Oberea lateapicalis
- Oberea linearis
- Oberea meridionalis
- Oberea moravica
- Oberea morio
- Oberea myops
- Oberea nigriceps
- Oberea nigrocincta
- Oberea nyassana
- Oberea ocellata
- Oberea oculata
- Oberea oculaticollis
- Oberea ornativentris
- Oberea pallida
- Oberea pedemontana
- Oberea perspicillata
- Oberea praelonga
- Oberea pruinosa
- Oberea pseudovaricornis
- Oberea pupillata
- Oberea quadricallosa
- Oberea reductesignata
- Oberea rhodesica
- Oberea rubetra
- Oberea ruficollis
- Oberea sansibarica
- Oberea schaumii
- Oberea scutellaris
- Oberea seminigra
- Oberea semiorbifera
- Oberea shirahatai
- Oberea subbasalis
- Oberea subvaricornis
- Oberea trigonalis
- Oberea tripunctata
- Oberea ulmicola
- Oberea vittata
- Oberea walkeri
- Oberea wittei






























































































































