Pemphigus populicaulis: taxon details and analytics

Domain
Kingdom
Animalia
Phylum
Arthropoda
Class
Insecta
Order
Hemiptera
Family
Aphididae
Genus
Pemphigus
Species
Pemphigus populicaulis
Scientific Name
Pemphigus populicaulis

Summary description from Wikipedia:

Pemphigus populicaulis

Pemphigus populicaulis är en insektsart som beskrevs av Fitch 1859. Pemphigus populicaulis ingår i släktet Pemphigus och familjen långrörsbladlöss. Inga underarter finns listade i Catalogue of Life.

...
 

Pemphigus populicaulis in languages:

English
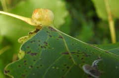
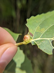
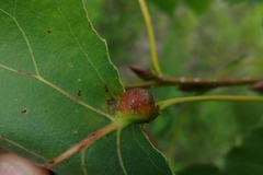
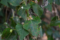
Poplar Leaf-base Gall
English
Gouty-petiole-gall aphid

Images from inaturalist.org observations:

We recommend you sign up for this excellent, free service.

Pemphigus populicaulis
©Noriko Ito, some rights reserved (CC-BY-NC)
Pemphigus populicaulis
©Noriko Ito, some rights reserved (CC-BY-NC)
Pemphigus populicaulis
©Noriko Ito, some rights reserved (CC-BY-NC)
Pemphigus populicaulis
©Noriko Ito, some rights reserved (CC-BY-NC)
Pemphigus populicaulis
©Noriko Ito, some rights reserved (CC-BY-NC)
Pemphigus populicaulis
©Noriko Ito, some rights reserved (CC-BY-NC)
Pemphigus populicaulis
©kchmura, some rights reserved (CC-BY-NC)
Pemphigus populicaulis
©kchmura, some rights reserved (CC-BY-NC)
Pemphigus populicaulis
©kchmura, some rights reserved (CC-BY-NC)
Pemphigus populicaulis
©kchmura, some rights reserved (CC-BY-NC)
Pemphigus populicaulis
©kchmura, some rights reserved (CC-BY-NC)
Pemphigus populicaulis
©kchmura, some rights reserved (CC-BY-NC)
Pemphigus populicaulis
©Noriko Ito, some rights reserved (CC-BY-NC)
Pemphigus populicaulis
©Noriko Ito, some rights reserved (CC-BY-NC)
Pemphigus populicaulis
©Noriko Ito, some rights reserved (CC-BY-NC)
Pemphigus populicaulis
©Noriko Ito, some rights reserved (CC-BY-NC)
Pemphigus populicaulis
©Noriko Ito, some rights reserved (CC-BY-NC)
Pemphigus populicaulis
©Séraphin Poudrier, some rights reserved (CC-BY-NC)
Pemphigus populicaulis
©Séraphin Poudrier, some rights reserved (CC-BY-NC)
Pemphigus populicaulis
©Levi smith, some rights reserved (CC-BY-NC)
Pemphigus populicaulis
©Levi smith, some rights reserved (CC-BY-NC)
Pemphigus populicaulis
©Levi smith, some rights reserved (CC-BY-NC)
Pemphigus populicaulis
©Leslie Flint, some rights reserved (CC-BY-NC)
Pemphigus populicaulis
©Leslie Flint, some rights reserved (CC-BY-NC)
Pemphigus populicaulis
©human_landfill, some rights reserved (CC-BY-NC)
Pemphigus populicaulis
©human_landfill, some rights reserved (CC-BY-NC)
Pemphigus populicaulis
©human_landfill, some rights reserved (CC-BY-NC)
Pemphigus populicaulis
©human_landfill, some rights reserved (CC-BY-NC)
Pemphigus populicaulis
©Séraphin Poudrier, some rights reserved (CC-BY-NC)
Pemphigus populicaulis
©Séraphin Poudrier, some rights reserved (CC-BY-NC)
Pemphigus populicaulis
©Tiffany Theden, some rights reserved (CC-BY-NC)
Pemphigus populicaulis
©Tiffany Theden, some rights reserved (CC-BY-NC)
Pemphigus populicaulis
©Eric C. Maxwell, some rights reserved (CC-BY-NC)
Pemphigus populicaulis
©Zedory, some rights reserved (CC-BY-NC)
Pemphigus populicaulis
©Leslie Flint, some rights reserved (CC-BY-NC)
Pemphigus populicaulis
©Leslie Flint, some rights reserved (CC-BY-NC)
Pemphigus populicaulis
©Andrew Hebert, some rights reserved (CC-BY-NC)
Pemphigus populicaulis
©Jason Headley, some rights reserved (CC-BY-NC)
Pemphigus populicaulis
©Jason Headley, some rights reserved (CC-BY-NC)
Pemphigus populicaulis
©Jason Headley, some rights reserved (CC-BY-NC)
Pemphigus populicaulis
©Dan MacNeal, some rights reserved (CC-BY)
Pemphigus populicaulis
©Dan MacNeal, some rights reserved (CC-BY)
Pemphigus populicaulis
©DW, some rights reserved (CC-BY-NC)
Pemphigus populicaulis
©DW, some rights reserved (CC-BY-NC)
Pemphigus populicaulis
©DW, some rights reserved (CC-BY-NC)
Pemphigus populicaulis
©DW, some rights reserved (CC-BY-NC)
Pemphigus populicaulis
©DW, some rights reserved (CC-BY-NC)
Pemphigus populicaulis
©DW, some rights reserved (CC-BY-NC)
Pemphigus populicaulis
©DW, some rights reserved (CC-BY-NC)
Pemphigus populicaulis
©DW, some rights reserved (CC-BY-NC)
Pemphigus populicaulis
©Christian Grenier, some rights reserved (CC-BY-NC)
Pemphigus populicaulis
©Christian Grenier, some rights reserved (CC-BY-NC)
Pemphigus populicaulis
©Christian Grenier, some rights reserved (CC-BY-NC)
Pemphigus populicaulis
©Christian Grenier, some rights reserved (CC-BY-NC)
Pemphigus populicaulis
©Christian Grenier, some rights reserved (CC-BY-NC)
Pemphigus populicaulis
©Christian Grenier, some rights reserved (CC-BY-NC)
Pemphigus populicaulis
©Cosmic Cat, some rights reserved (CC-BY-NC)
Pemphigus populicaulis
©Adam Kranz, some rights reserved (CC0)
Pemphigus populicaulis
©Adam Kranz, some rights reserved (CC0)
Pemphigus populicaulis
©Adam Kranz, some rights reserved (CC0)
Pemphigus populicaulis
©Joe Bartok, some rights reserved (CC-BY-NC)
Pemphigus populicaulis
©Merav Vonshak, some rights reserved (CC-BY-NC)
Pemphigus populicaulis
©Merav Vonshak, some rights reserved (CC-BY-NC)
Pemphigus populicaulis
©wetlandfan, some rights reserved (CC-BY-NC-ND)
Pemphigus populicaulis
©wetlandfan, some rights reserved (CC-BY-NC-ND)
Pemphigus populicaulis
©wetlandfan, some rights reserved (CC-BY-NC-ND)
Pemphigus populicaulis
©Bill MacIndewar, some rights reserved (CC-BY-NC)
Pemphigus populicaulis
©Bill MacIndewar, some rights reserved (CC-BY-NC)
Pemphigus populicaulis
©Bill MacIndewar, some rights reserved (CC-BY-NC)
Pemphigus populicaulis
©Bill MacIndewar, some rights reserved (CC-BY-NC)
Pemphigus populicaulis
©Bill MacIndewar, some rights reserved (CC-BY-NC)
Pemphigus populicaulis
©Merav Vonshak, some rights reserved (CC-BY-NC)
Pemphigus populicaulis
©Merav Vonshak, some rights reserved (CC-BY-NC)
Pemphigus populicaulis
©Merav Vonshak, some rights reserved (CC-BY-NC)
Pemphigus populicaulis
©Merav Vonshak, some rights reserved (CC-BY-NC)
Pemphigus populicaulis
©Mews, some rights reserved (CC-BY-NC)
Pemphigus populicaulis
©Mews, some rights reserved (CC-BY-NC)
Pemphigus populicaulis
©Scott Ulian, some rights reserved (CC-BY-NC)
Pemphigus populicaulis
©Scott Ulian, some rights reserved (CC-BY-NC)
Pemphigus populicaulis
©Scott Ulian, some rights reserved (CC-BY-NC)
Pemphigus populicaulis
©Joanne Redwood, some rights reserved (CC-BY-NC)
Pemphigus populicaulis
©Joanne Redwood, some rights reserved (CC-BY-NC)
Pemphigus populicaulis
©Joanne Redwood, some rights reserved (CC-BY-NC)
Pemphigus populicaulis
©Bill MacIndewar, some rights reserved (CC-BY-NC)
Pemphigus populicaulis
©Bill MacIndewar, some rights reserved (CC-BY-NC)
Pemphigus populicaulis
©Bill MacIndewar, some rights reserved (CC-BY-NC)
Pemphigus populicaulis
©Bill MacIndewar, some rights reserved (CC-BY-NC)
Pemphigus populicaulis
©Leslie Flint, some rights reserved (CC-BY-NC)
Pemphigus populicaulis
©matthew_wills, some rights reserved (CC-BY-NC)
Pemphigus populicaulis
©matthew_wills, some rights reserved (CC-BY-NC)
Pemphigus populicaulis
©Reiner Jakubowski, some rights reserved (CC-BY-SA)
Pemphigus populicaulis
©Reiner Jakubowski, some rights reserved (CC-BY-SA)
Pemphigus populicaulis
©Mathew Zappa, some rights reserved (CC-BY)
Pemphigus populicaulis
©Mathew Zappa, some rights reserved (CC-BY)
Pemphigus populicaulis
©Mathew Zappa, some rights reserved (CC-BY)
Pemphigus populicaulis
©Adam Kranz, some rights reserved (CC0)
Pemphigus populicaulis
©Adam Kranz, some rights reserved (CC0)
Pemphigus populicaulis
©Adam Kranz, some rights reserved (CC0)
Pemphigus populicaulis
©Nick Furlan, some rights reserved (CC-BY-NC)
Pemphigus populicaulis
©Matthew Hammond, some rights reserved (CC-BY-NC)
Pemphigus populicaulis
©Matthew Hammond, some rights reserved (CC-BY-NC)
Pemphigus populicaulis
©Matthew Hammond, some rights reserved (CC-BY-NC)
Pemphigus populicaulis
©Timothy Frey, some rights reserved (CC-BY-NC)
Pemphigus populicaulis
©Timothy Frey, some rights reserved (CC-BY-NC)
Pemphigus populicaulis
©Timothy Frey, some rights reserved (CC-BY-NC)
Pemphigus populicaulis
©Joanne Redwood, some rights reserved (CC-BY-NC)
Pemphigus populicaulis
©Joanne Redwood, some rights reserved (CC-BY-NC)
Pemphigus populicaulis
©Joanne Redwood, some rights reserved (CC-BY-NC)
Pemphigus populicaulis
©Joanne Redwood, some rights reserved (CC-BY-NC)
Pemphigus populicaulis
©Joanne Redwood, some rights reserved (CC-BY-NC)
Pemphigus populicaulis
©Chloe and Trevor Van Loon, some rights reserved (CC-BY)
Pemphigus populicaulis
©Chloe and Trevor Van Loon, some rights reserved (CC-BY)
Pemphigus populicaulis
©Chloe and Trevor Van Loon, some rights reserved (CC-BY)
Pemphigus populicaulis
©Donna J. Parry, some rights reserved (CC-BY-NC)
Pemphigus populicaulis
©Donna J. Parry, some rights reserved (CC-BY-NC)
Pemphigus populicaulis
©beetleinahaystack, some rights reserved (CC-BY-NC)
Pemphigus populicaulis
©matthew_wills, some rights reserved (CC-BY-NC)
Pemphigus populicaulis
©Andrew Wesley Legan, some rights reserved (CC-BY-NC)
Pemphigus populicaulis
©Andrew Wesley Legan, some rights reserved (CC-BY-NC)
Pemphigus populicaulis
©Andrew Wesley Legan, some rights reserved (CC-BY-NC)
Pemphigus populicaulis
©Andrew Wesley Legan, some rights reserved (CC-BY-NC)
Pemphigus populicaulis
©Andrew Wesley Legan, some rights reserved (CC-BY-NC)
Pemphigus populicaulis
©Andrew Wesley Legan, some rights reserved (CC-BY-NC)
Pemphigus populicaulis
©Andrew Wesley Legan, some rights reserved (CC-BY-NC)
Pemphigus populicaulis
©David Stern, some rights reserved (CC-BY)
Pemphigus populicaulis
©Peter Chen 2.0, some rights reserved (CC-BY)
Pemphigus populicaulis
©jboreal, some rights reserved (CC-BY-NC)
Pemphigus populicaulis
©Leslie Flint, some rights reserved (CC-BY-NC)
Pemphigus populicaulis
©Yann Kemper, some rights reserved (CC0)
Pemphigus populicaulis
©Yann Kemper, some rights reserved (CC0)
Pemphigus populicaulis
©Yann Kemper, some rights reserved (CC0)
Pemphigus populicaulis
©Yann Kemper, some rights reserved (CC0)
Pemphigus populicaulis
©Greg Froelich, some rights reserved (CC-BY-NC)
Pemphigus populicaulis
©Greg Froelich, some rights reserved (CC-BY-NC)
Pemphigus populicaulis
©Chia aka Cory Chiappone, some rights reserved (CC-BY-NC)
Pemphigus populicaulis
©jdyoung128, some rights reserved (CC-BY-NC)
Pemphigus populicaulis
©jdyoung128, some rights reserved (CC-BY-NC)
Pemphigus populicaulis
©jdyoung128, some rights reserved (CC-BY-NC)
Pemphigus populicaulis
©jdyoung128, some rights reserved (CC-BY-NC)
Pemphigus populicaulis
©Ken-ichi Ueda, some rights reserved (CC-BY)
Pemphigus populicaulis
©Priyantha Wijesinghe, some rights reserved (CC-BY-NC)
Pemphigus populicaulis
©Priyantha Wijesinghe, some rights reserved (CC-BY-NC)
Pemphigus populicaulis
©Adam Kranz, some rights reserved (CC0)
Pemphigus populicaulis
©Adam Kranz, some rights reserved (CC0)
Pemphigus populicaulis
©Nicholas Soucy, some rights reserved (CC-BY-NC)
Pemphigus populicaulis
©Nicholas Soucy, some rights reserved (CC-BY-NC)
Pemphigus populicaulis
©Nicholas Soucy, some rights reserved (CC-BY-NC)
Pemphigus populicaulis
©Erika Mitchell, some rights reserved (CC-BY-NC)
Pemphigus populicaulis
©Deborah Barber, some rights reserved (CC-BY-NC)
Pemphigus populicaulis
©Deborah Barber, some rights reserved (CC-BY-NC)
Pemphigus populicaulis
©Adam Kranz, some rights reserved (CC0)
Pemphigus populicaulis
©Adam Kranz, some rights reserved (CC0)
Pemphigus populicaulis
©Adam Kranz, some rights reserved (CC0)
Pemphigus populicaulis
©Adam Kranz, some rights reserved (CC0)
Pemphigus populicaulis
©Adam Kranz, some rights reserved (CC0)
Pemphigus populicaulis
©Adam Kranz, some rights reserved (CC0)
Pemphigus populicaulis
©Adam Kranz, some rights reserved (CC0)
Pemphigus populicaulis
©Adam Kranz, some rights reserved (CC0)
Pemphigus populicaulis
©willowpillow, some rights reserved (CC-BY-NC)
Pemphigus populicaulis
©willowpillow, some rights reserved (CC-BY-NC)