Pemphigus populivenae: taxon details and analytics
- Domain
- Kingdom
- Animalia
- Phylum
- Arthropoda
- Class
- Insecta
- Order
- Hemiptera
- Family
- Aphididae
- Genus
- Pemphigus
- Species
- Pemphigus populivenae
- Scientific Name
- Pemphigus populivenae
Summary description from Wikipedia:
Pemphigus populivenae
Pemphigus populivenae är en insektsart som beskrevs av Fitch 1859. Pemphigus populivenae ingår i släktet Pemphigus och familjen långrörsbladlöss. Inga underarter finns listade i Catalogue of Life.
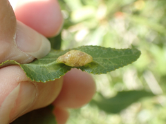
...Images from inaturalist.org observations:
We recommend you sign up for this excellent, free service.
Parent Taxon
Sibling Taxa
- Pemphigus betae
- Pemphigus borealis
- Pemphigus bursarius
- Pemphigus fuscicornis
- Pemphigus gairi
- Pemphigus groenlandicus
- Pemphigus immunis
- Pemphigus knowltoni
- Pemphigus longicornis
- Pemphigus matsumurai
- Pemphigus monophagus
- Pemphigus nortonii
- Pemphigus obesinymphae
- Pemphigus passeki
- Pemphigus phenax
- Pemphigus populi
- Pemphigus populicaulis
- Pemphigus populiglobuli
- Pemphigus populinigrae
- Pemphigus populiramulorum
- Pemphigus populitransversus
- Pemphigus populivenae
- Pemphigus protospirae
- Pemphigus rileyi
- Pemphigus spyrothecae
- Pemphigus tartareus
- Pemphigus trehernei
- Pemphigus vesicarius




































