Saperda cretata: taxon details and analytics
- Domain
- Kingdom
- Animalia
- Phylum
- Arthropoda
- Class
- Insecta
- Order
- Coleoptera
- Family
- Cerambycidae
- Genus
- Saperda
- Species
- Saperda cretata
- Scientific Name
- Saperda cretata
Summary description from Wikipedia:
Saperda cretata
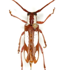
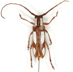
Saperda cretata is a species of beetle in the family Cerambycidae. It was described by Newman in 1838. It is known from Canada and the United States.
...Saperda cretata in languages:
- English
- Spotted Apple Tree Borer
Images from inaturalist.org observations:
We recommend you sign up for this excellent, free service.
Parent Taxon
Sibling Taxa
- Compsidia
- Saperda alberti
- Saperda calcarata
- Saperda candida
- Saperda carcharias
- Saperda cretata
- Saperda discoidea
- Saperda fayi
- Saperda gilanense
- Saperda horni
- Saperda hornii
- Saperda imitans
- Saperda inornata
- Saperda interrupta
- Saperda lateralis
- Saperda moesta
- Saperda mutica
- Saperda obliqua
- Saperda ocelota
- Saperda octomaculata
- Saperda octopunctata
- Saperda perforata
- Saperda populnea
- Saperda punctata
- Saperda puncticollis
- Saperda quercus
- Saperda scalaris
- Saperda similis
- Saperda subobliterata
- Saperda tetrastigma
- Saperda tridentata
- Saperda vestita
- Saperda viridipennis








