Saperda inornata: taxon details and analytics
- Domain
- Kingdom
- Animalia
- Phylum
- Arthropoda
- Class
- Insecta
- Order
- Coleoptera
- Family
- Cerambycidae
- Genus
- Saperda
- Species
- Saperda inornata
- Scientific Name
- Saperda inornata
Summary description from Wikipedia:
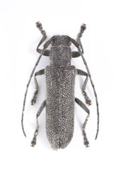
Saperda inornata
Saperda inornata is a species of beetle in the family Cerambycidae. It was described by Thomas Say in 1824. It is known from Canada and the United States. It feeds on Populus tremuloides.
...Saperda inornata in languages:
- English
- Poplar-gall Saperda
Images from inaturalist.org observations:
We recommend you sign up for this excellent, free service.
Parent Taxon
Sibling Taxa
- Compsidia
- Saperda alberti
- Saperda calcarata
- Saperda candida
- Saperda carcharias
- Saperda cretata
- Saperda discoidea
- Saperda fayi
- Saperda gilanense
- Saperda horni
- Saperda hornii
- Saperda imitans
- Saperda inornata
- Saperda interrupta
- Saperda lateralis
- Saperda moesta
- Saperda mutica
- Saperda obliqua
- Saperda ocelota
- Saperda octomaculata
- Saperda octopunctata
- Saperda perforata
- Saperda populnea
- Saperda punctata
- Saperda puncticollis
- Saperda quercus
- Saperda scalaris
- Saperda similis
- Saperda subobliterata
- Saperda tetrastigma
- Saperda tridentata
- Saperda vestita
- Saperda viridipennis














































