Diplazontinae: taxon details and analytics
- Domain
- Kingdom
- Animalia
- Phylum
- Arthropoda
- Class
- Insecta
- Order
- Hymenoptera
- Family
- Ichneumonidae
- Genus
- Species
- Scientific Name
- Diplazontinae
Summary description from Wikipedia:
Diplazontinae
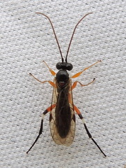
Diplazontinae is a subfamily of Ichneumonidae.
They are koinobiont endoparasitoids of Syrphidae. Oviposition is into the egg or larva and emergence is from the puparium. Although they are distributed worldwide most species are in the Holarctic region where there are 19 genera.
Diplazontines have 3-toothed mandibles and the first abdominal tergite is box-like.
...Diplazontinae in languages:
- Chinese
- 蚜蠅姬蜂亞科
- English
- Hover Fly Parasitoid Wasps
- English
- Hover Fly Parasite Wasps
- English
- Hoverfly Parasitoid Wasps
- Finnish
- kirvariahmaset
- Japanese
- ヒラタアブヒメバチ亜科
- Korean
- 등에살이뭉툭맵시벌족
- Swedish
- blomflugesteklar
Images from inaturalist.org observations:
We recommend you sign up for this excellent, free service.
Parent Taxon
Sibling Taxa
- Acaenitinae
- Adelognathinae
- Agriotypinae
- Anomaloninae
- Ateleutinae
- Banchinae
- Brachycyrtinae
- Campopleginae
- Claseinae
- Collyriinae
- Cremastinae
- Cryptinae
- Ctenopelmatinae
- Cylloceriinae
- Diacritinae
- Diplazontinae
- Eucerotinae
- Hybrizontinae
- Ichneumoninae
- Labeninae
- Labenopimplinae
- Lycorininae
- Mesochorinae
- Metopiinae
- Microleptinae
- Neorhacodinae
- Nesomesochorinae
- Nonninae
- Ophioninae
- Orthocentrinae
- Orthopelmatinae
- Oxytorinae
- Pedunculinae
- Pherhombinae
- Phrudinae
- Phygadeuontinae
- Pimplinae
- Poemeniinae
- Rhyssinae
- Sisyrostolinae
- Stilbopinae
- Tanychorinae
- Tatogastrinae
- Tersilochinae
- Townesitinae
- Tryphoninae
- Xoridinae































































































































































