Tersilochinae: taxon details and analytics
- Domain
- Kingdom
- Animalia
- Phylum
- Arthropoda
- Class
- Insecta
- Order
- Hymenoptera
- Family
- Ichneumonidae
- Genus
- Species
- Scientific Name
- Tersilochinae
Summary description from Wikipedia:
Tersilochinae
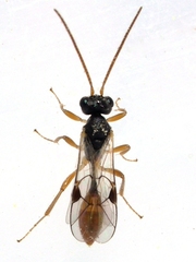
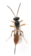
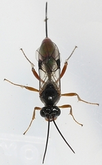
Tersilochinae is a worldwide subfamily of the parasitic wasp family Ichneumonidae.
Tersilochinae species are koinobiont endoparasitoids of Coleoptera larvae, (although Symphyta larvae are recorded as hosts of one genus). Hosts include Curculionidae and Chrysomelidae so Tersilochinae are used for biological control. There are currently 24 genera and 500 species.
...Tersilochinae in languages:
- Finnish
- kuoriaisahmaset
- Japanese
- ツヤアメバチ亜科
- Swedish
- ribbstrutsteklar
Images from inaturalist.org observations:
We recommend you sign up for this excellent, free service.
Parent Taxon
Sibling Taxa
- Acaenitinae
- Adelognathinae
- Agriotypinae
- Anomaloninae
- Ateleutinae
- Banchinae
- Brachycyrtinae
- Campopleginae
- Claseinae
- Collyriinae
- Cremastinae
- Cryptinae
- Ctenopelmatinae
- Cylloceriinae
- Diacritinae
- Diplazontinae
- Eucerotinae
- Hybrizontinae
- Ichneumoninae
- Labeninae
- Labenopimplinae
- Lycorininae
- Mesochorinae
- Metopiinae
- Microleptinae
- Neorhacodinae
- Nesomesochorinae
- Nonninae
- Ophioninae
- Orthocentrinae
- Orthopelmatinae
- Oxytorinae
- Pedunculinae
- Pherhombinae
- Phrudinae
- Phygadeuontinae
- Pimplinae
- Poemeniinae
- Rhyssinae
- Sisyrostolinae
- Stilbopinae
- Tanychorinae
- Tatogastrinae
- Tersilochinae
- Townesitinae
- Tryphoninae
- Xoridinae































































































































































