Mesochorinae: taxon details and analytics
- Domain
- Kingdom
- Animalia
- Phylum
- Arthropoda
- Class
- Insecta
- Order
- Hymenoptera
- Family
- Ichneumonidae
- Genus
- Species
- Scientific Name
- Mesochorinae
Summary description from Wikipedia:
Mesochorinae
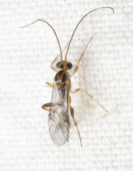
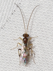
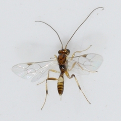
Mesochorinae is a worldwide subfamily of the parasitic wasp family Ichneumonidae.
Mesochorinae are koinobiont hyperparasitoids of ectoparasitic or endoparasitic Ichneumonoidea, and, less frequently, of Tachinidae (Diptera). There are 10 genera.
...Mesochorinae in languages:
- Danish
- Diamantvinger
- Finnish
- kesturiahmaset
- Japanese
- フタオヒメバチ亜科
- Korean
- 어리자루맵시벌아과
- Swedish
- ribbrombsteklar
Images from inaturalist.org observations:
We recommend you sign up for this excellent, free service.
Parent Taxon
Sibling Taxa
- Acaenitinae
- Adelognathinae
- Agriotypinae
- Anomaloninae
- Ateleutinae
- Banchinae
- Brachycyrtinae
- Campopleginae
- Claseinae
- Collyriinae
- Cremastinae
- Cryptinae
- Ctenopelmatinae
- Cylloceriinae
- Diacritinae
- Diplazontinae
- Eucerotinae
- Hybrizontinae
- Ichneumoninae
- Labeninae
- Labenopimplinae
- Lycorininae
- Mesochorinae
- Metopiinae
- Microleptinae
- Neorhacodinae
- Nesomesochorinae
- Nonninae
- Ophioninae
- Orthocentrinae
- Orthopelmatinae
- Oxytorinae
- Pedunculinae
- Pherhombinae
- Phrudinae
- Phygadeuontinae
- Pimplinae
- Poemeniinae
- Rhyssinae
- Sisyrostolinae
- Stilbopinae
- Tanychorinae
- Tatogastrinae
- Tersilochinae
- Townesitinae
- Tryphoninae
- Xoridinae































































































































































