Stenocorus insitivus: taxon details and analytics
- Domain
- Kingdom
- Animalia
- Phylum
- Arthropoda
- Class
- Insecta
- Order
- Coleoptera
- Family
- Cerambycidae
- Genus
- Stenocorus
- Species
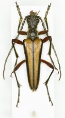
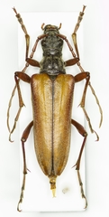
- Stenocorus insitivus
- Scientific Name
- Stenocorus insitivus
Parent Taxon
Sibling Taxa
- Anisorus
- Stenocorus amurensis
- Stenocorus copei
- Stenocorus cylindricollis
- Stenocorus flavolineatus
- Stenocorus insitivus
- Stenocorus lepturoides
- Stenocorus maculatus
- Stenocorus meridianus
- Stenocorus minutus
- Stenocorus nubifer
- Stenocorus obtusus
- Stenocorus schaumii
- Stenocorus trivittatus
- Stenocorus validicornis
- Stenocorus vestitus
- Stenocorus vittiger
- Toxotopsis

