Stenocorus vittiger: taxon details and analytics

Domain
Kingdom
Animalia
Phylum
Arthropoda
Class
Insecta
Order
Coleoptera
Family
Cerambycidae
Genus
Stenocorus
Species
Stenocorus vittiger
Scientific Name
Stenocorus vittiger

Summary description from Wikipedia:

Stenocorus vittiger

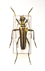
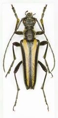
Stenocorus vittiger is a species of beetle in the family Cerambycidae. Similar to Analeptura lineola, this species has a brown coloured pronotum with 4 black stripes.

...
 

Images from inaturalist.org observations:

We recommend you sign up for this excellent, free service.

Stenocorus vittiger
©jessicaturtle, some rights reserved (CC-BY-NC)
Stenocorus vittiger
©Mathew Zappa, some rights reserved (CC-BY)
Stenocorus vittiger
©eknuth, some rights reserved (CC-BY-NC)
Stenocorus vittiger
©Ken Rosenthal, some rights reserved (CC-BY-NC)
Stenocorus vittiger
©Ken Rosenthal, some rights reserved (CC-BY-NC)
Stenocorus vittiger
©eknuth, some rights reserved (CC-BY-NC)
Stenocorus vittiger
©Mathew Zappa, some rights reserved (CC-BY)
Stenocorus vittiger
©Ludo Leclerc, some rights reserved (CC-BY-NC)
Stenocorus vittiger
©Nick Bédard, some rights reserved (CC-BY-NC)
Stenocorus vittiger
©Michel Larrivée, some rights reserved (CC-BY-NC)
Stenocorus vittiger
©ecockerham28, some rights reserved (CC-BY-NC)
Stenocorus vittiger
©ecockerham28, some rights reserved (CC-BY-NC)
Stenocorus vittiger
©ecockerham28, some rights reserved (CC-BY-NC)
Stenocorus vittiger
©b_coulter, some rights reserved (CC-BY-NC)
Stenocorus vittiger
©b_coulter, some rights reserved (CC-BY-NC)
Stenocorus vittiger
©b_coulter, some rights reserved (CC-BY-NC)
Stenocorus vittiger
©b_coulter, some rights reserved (CC-BY-NC)
Stenocorus vittiger
©Pierrick Bloin, some rights reserved (CC-BY-NC)
Stenocorus vittiger
©Pierrick Bloin, some rights reserved (CC-BY-NC)
Stenocorus vittiger
©pmbrousseau, some rights reserved (CC-BY-NC)
Stenocorus vittiger
©gradk, some rights reserved (CC-BY-NC)
Stenocorus vittiger
©dexternienhaus, some rights reserved (CC-BY-NC)
Stenocorus vittiger
©Ashley Morris, some rights reserved (CC-BY-NC)
Stenocorus vittiger
©Alex Harman, some rights reserved (CC-BY-NC)
Stenocorus vittiger
©Frederic Desmeules, some rights reserved (CC-BY-NC)
Stenocorus vittiger
©Frederic Desmeules, some rights reserved (CC-BY-NC)
Stenocorus vittiger
©Frederic Desmeules, some rights reserved (CC-BY-NC)
Stenocorus vittiger
©Frederic Desmeules, some rights reserved (CC-BY-NC)
Stenocorus vittiger
©Frederic Desmeules, some rights reserved (CC-BY-NC)
Stenocorus vittiger
©Marilyne Busque-Dubois, some rights reserved (CC-BY)
Stenocorus vittiger
©Marilyne Busque-Dubois, some rights reserved (CC-BY)
Stenocorus vittiger
©Marilyne Busque-Dubois, some rights reserved (CC-BY)
Stenocorus vittiger
©Marilyne Busque-Dubois, some rights reserved (CC-BY)
Stenocorus vittiger
©Braden Wojahn, some rights reserved (CC-BY-NC)
Stenocorus vittiger
©Braden Wojahn, some rights reserved (CC-BY-NC)
Stenocorus vittiger
©Braden Wojahn, some rights reserved (CC-BY-NC)
Stenocorus vittiger
©Braden Wojahn, some rights reserved (CC-BY-NC)
Stenocorus vittiger
©Braden Wojahn, some rights reserved (CC-BY-NC)
Stenocorus vittiger
©Denis Doucet, some rights reserved (CC-BY-NC)
Stenocorus vittiger
©Raphaël Pratte, some rights reserved (CC-BY-NC)