Stenocorus vestitus: taxon details and analytics
- Domain
- Kingdom
- Animalia
- Phylum
- Arthropoda
- Class
- Insecta
- Order
- Coleoptera
- Family
- Cerambycidae
- Genus
- Stenocorus
- Species
- Stenocorus vestitus
- Scientific Name
- Stenocorus vestitus
Summary description from Wikipedia:
Stenocorus vestitus
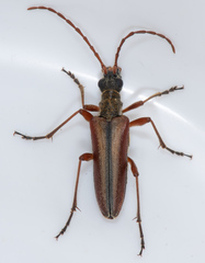
Stenocorus vestitus (also known as flower longhorn) is a species of beetle in the family Cerambycidae. Just like Stenocorus meridianus, the females of this species are black coloured while males are brown.
...Images from inaturalist.org observations:
We recommend you sign up for this excellent, free service.
Parent Taxon
Sibling Taxa
- Anisorus
- Stenocorus amurensis
- Stenocorus copei
- Stenocorus cylindricollis
- Stenocorus flavolineatus
- Stenocorus insitivus
- Stenocorus lepturoides
- Stenocorus maculatus
- Stenocorus meridianus
- Stenocorus minutus
- Stenocorus nubifer
- Stenocorus obtusus
- Stenocorus schaumii
- Stenocorus trivittatus
- Stenocorus validicornis
- Stenocorus vestitus
- Stenocorus vittiger
- Toxotopsis












